Bermuda

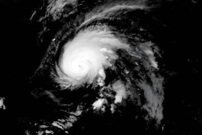
Weakened Hurricane Melissa passing north of Bermuda

Hurricane Melissa was passing norther of Bermuda early Friday. Image courtesy NOAA

Oct. 31 (UPI) — Hurricane Melissa, now a weakened Category 1 storm, was passing north of Bermuda early Friday after battering the Caribbean over the past few days, forecasters said.

Forecasters said Melissa was at its nearest approach to Bermuda, where a hurricane warning was in effect and hurricane-force winds were being felt.

The eye of Melissa was about 150 miles north-northwest of Bermuda, the National Hurricane Center said in its 2 a.m. EDT update.

It had maximum sustained winds of 90 mph, a drop of 15 mph from 8 p.m. Thursday. The storm was moving northeast at 40 mph. Earlier in its life cycle, the storm was largely stationary, moving at about 2 mph as it made its way toward a Jamaican landfall Tuesday.

Forecasts had indicated that the storm would pick up speed as it moved away from the Bahamas. It was forecast to become a strong extratropical cyclone near the southeastern tip of Newfoundland on Friday.

Hurricane-force wind gusts were being reported early Friday on Bermuda, as the storm made its closest approach. The outer bands of Melissa could pour an additional 1 to 2 inches of rain over Bermuda through early Friday, while a brief period of heavy rain was considered possible for the southern Avalon Peninsula of Newfoundland on Friday night.

Melissa made landfall in Jamaica on Tuesday at about 1 p.m. as a powerful Category 5 storm, with estimated maximum sustained winds of 185 mph. It was the strongest direct hit on Jamaica since records have been kept in the Atlantic basin. It was also the first storm to make landfall in the Caribbean this season.

The storm lost some strength as it traveled over Jamaica’s western mountains, but maintained major hurricane status as it headed for Cuba. It remained a hurricane when it reached the Bahamas.

Melissa is the 13th named storm and fifth hurricane of the season. The other Category 5 storms in the Atlantic this season have been Erin and Humberto.

In September 2019, Hurricane Dorian had maximum sustained winds of 185 mph and devastated the Bahamian islands, including the Abaco Islands and Grand Bahama, as a Category 5 storm.

The all-time highest sustained wind speed recorded in the Atlantic was Hurricane Allen at 190 mph in August 1980 over the Yucatan Peninsula before weakening to a Category 3 when it struck South Texas.

The most destructive Category 5 storm in the United States was Hurricane Andrew in August 1992, causing $27.3 billion in damage. Hurricane Michael, also a Category 5 storm, struck the less-populated Florida Panhandle in October 2018.

Hurricane Gilbert struck Jamaica in 1988 as a Category 3 storm.

Source link

Category 2 Hurricane Melissa to pass Bermuda on Thursday night

Hurricane Melissa was not projected to make direct landfall on Bermuda but is still expected to bring dangerous conditions. Photo courtesy NOAA

Oct. 30 (UPI) — Hurricane Melissa, now a Category 2 storm, was heading toward Bermuda on Thursday evening after battering the Caribbean over the past few days, forecasters said.

Forecasters said Melissa was forecast to pass Bermuda, where a hurricane warning is in effect, on Thursday night.

The eye of Melissa was about 260 miles west-southwest of Bermuda, the National Hurricane Center said in its 8 p.m. EDT update.

It had maximum sustained winds of 105 mph, and was making its way northeast toward Bermuda at 21 mph. Earlier in its lifecycle, the storm was largely stationary, moving at about 2 mph as it made its way toward a Jamaican landfall Tuesday.

Forecasts indicate the storm would pick up more speed as it moves away from the Bahamas. It was forecast to pass to the northwest of Bermuda on Thursday night and should become a strong extratropical cyclone near the southeastern tip of Newfoundland on Friday.

The outer bands of Melissa could pour an additional 1 to 2 inches of rain over Bermuda through Thursday night, while a brief period of heavy rain was considered possible for the southern Avalon Peninsula of Newfoundland on Friday night.

Melissa made landfall in Jamaica on Tuesday at about 1 p.m. as a powerful Category 5 storm, with estimated maximum sustained winds of 185 mph. It was the strongest direct hit on Jamaica since records have been kept in the Atlantic basin. It was also the first storm to make landfall in the Caribbean this season.

The storm lost some strength as it traveled over Jamaica’s western mountains, but maintained major hurricane status as it headed for Cuba. It remained a hurricane when it reached the Bahamas.

Melissa is the 13th named storm and fifth hurricane of the season. The other Category 5 storms in the Atlantic this season have been Erin and Humberto.

In September 2019, Hurricane Dorian had maximum sustained winds of 185 mph and devastated the Bahamian islands, including the Abaco Islands and Grand Bahama, as a Category 5 storm.

The all-time highest sustained wind speed recorded in the Atlantic was Hurricane Allen at 190 mph in August 1980 over the Yucatan Peninsula before weakening to a Category 3 when it struck South Texas.

The most destructive Category 5 storm in the United States was Hurricane Andrew in August 1992, causing $27.3 billion in damage. Hurricane Michael, also a Category 5 storm, struck the less populated Florida Panhandle in October 2018.

Hurricane Gilbert struck Jamaica in 1988 as a Category 3 storm.

Source link

Imelda weakens to extratropical cyclone after passing Bermuda

Hurricane Imelda passed over Bermuda overnight. Photo courtesy of NOAA

Oct. 1 (UPI) — The one-time Hurricane Imelda weakened to an extratropical cyclone Thursday after passing over Bermuda, the National Hurricane Center said.

The storm was about 315 miles east-northeast of Bermuda, according to the 11 a.m. EDT update — the last — from the NHC.

Forecasters said Imelda had maximum sustained winds of 75 mph and was moving east-northeast at a rapid 29 mph. The same general motion was expected to continue through Thursday night.

Bermuda has discontinued all tropical storm warnings associated with the storm.

Imelda, the ninth named storm of the 2025 Atlantic hurricane season, is expected to strengthen through Wednesday as it approaches Bermuda and could be a Category 2 storm by the time it nears the island.

Source link

Hurricane Imelda to approach Bermuda on Wednesday

Hurricane Imelda was expected to move toward Bermuda on Wednesday. Photo courtesy of NOAA

Oct. 1 (UPI) — Hurricane Imelda early Wednesday was approaching Bermuda, where forecasters were warning to hurry and complete preparations to “protect life and property” before the storm arrives.

Its eye was located about 520 miles west-southwest of Bermuda, according to the 2 a.m. EDT update from the National Hurricane Center, which said the British overseas territory should be expected to experience hurricane-force winds from Imelda later Wednesday.

The forecasters said it had maximum sustained winds of 85 mph and was moving east-northeast at a rapid 17 mph, though it is expected to speed up over the next few days.

“On the forecast track, the core of the hurricane will be near Bermuda this afternoon or evening,” the NHC said.

Imelda, the ninth named storm of the 2025 Atlantic hurricane season, is expected to strengthen through Wednesday as it approaches Bermuda and could be a Category 2 storm by the time it nears the island.

Source link

Bermuda issues hurricane warning as Imelda nears

Hurricane Imelda, which can be seen at the left, next to Hurricane Humberto, was expected to move toward Bermuda in the coming days. Photo courtesy of NOAA

Sept. 29 (UPI) — Imelda strengthened into a hurricane Tuesday morning as it made its way northeast toward Bermuda, where officials issued a hurricane warning, the National Hurricane Center said.

The eye of the Category 1 storm was located about 735 miles west-southwest of Bermuda. It was moving northeast at 7 mph.

Imelda, the ninth named storm of the 2025 Atlantic hurricane season, had maximum sustained winds of 80 mph, a slight increase over the course of the morning, the National Hurricane Center said in its 11 a.m. EDT Tuesday update.

Imelda initially moved toward the west-north west, but the storm made a turn toward the northeast overnight.

“On the forecast track, the center of the hurricane should continue to move away from the Bahamas today and be approaching Bermuda Wednesday afternoon,” the NHC said.

The NHC said Imelda could bring damaging hurricane-force winds to Bermuda

Source link

Humberto strengthens into hurricane, could impact Bermuda

Hurricane Humberto is expected to intensify into a major hurricane sometime Saturday. Photo courtesy of NOAA

Sept. 26 (UPI) — Humberto strengthened into a hurricane Friday morning and could reach major hurricane status by the weekend, the National Hurricane Center said.

The eye of the storm was located about 465 miles northeast of the northern Leeward Islands. It had maximum sustained winds of 75 mph and was moving northwest at 3 mph, the NHC said in its 5 a.m. AST update.

The forecast track has Humberto moving northward toward the island of Bermuda in the coming days.

The NHC described Humberto as “better organized” over the previous several hours, with signs of “steady-to-rapid intensification.”

No coastal watches or warnings were in effect.

Humberto became the Atlantic hurricane season’s eighth named storm Wednesday. It’s the third official hurricane after Erin and Gabrielle.

In August, Erin intensified into a Category 5 hurricane with 160 mph winds spreading across a 500-mile area. It did not make landfall in the United States but caused dangerous surf, rip currents and coastal flooding along the East Coast, with the worst conditions in North Carolina and Virginia.

Gabrielle formed in mid-September and also became a major hurricane, a Category 4. The storm dissipated into a post-tropical cyclone near the Azores on Friday.

Tropical Storm Chantal was the only storm to make landfall in the U.S. — South Carolina on July 6.

Source link

Hurricane Gabrielle continues to strengthen as it nears Bermuda

Hurricane Gabrielle is forecast to continue strengthening through Monday. Photo courtesy of the NOAA

Sept. 22 (UPI) — Hurricane Gabrielle is forecast to continue strengthening early Monday as it nears Bermuda, and residents are being urged to monitor forecast updates.

The storm’s center was located about 210 miles southeast of Bermuda with maximum sustained winds of 90 mph, making it a Category 1 on the Saffir-Simpson scale, the National Hurricane Center said during its 5 a.m. AST Monday advisory.

It was moving north-northwest at 10 mph, it added.

No coastal watches or warnings were in effect, but interests in Bermuda were urged to monitor Gabrielle’s progress.

Though modeling shows the storm is expected to remain well east of the island, the swells it generates will continue to affect the island over the next few days. “Gusty winds and showers” are also possible for Bermuda on Monday as the storm passes to its east, the NHC added in a discussion.

Forecasters said the storm is expected to rapidly strengthen over the next 24 hours, with Gabrielle to become a major hurricane by Monday night.

The swells from the storm have begun to reach the U.S. eastern coast from North Carolina northward, as well as Atlantic Canada, the NHC said, adding they should continue through early this week.

“These swells are likely to cause life-threatening surf and rip current conditions,” it said.

Gabrielle is the seventh named storm of the 2025 Atlantic hurricane season.

Last month, Erin became a Category 5 hurricane with 160-mph winds spreading over 500 miles.

Source link

Friday 23 May Bermuda Day in Bermuda

Bermuda is a British Overseas Territory located in the North Atlantic Ocean. The islands are named after the Spanish captain Juan de Bermúdez, who claimed the islands for Spain while travelling to the Americas in 1505. 

Bermuda Day is seen as an important date in the Bermudan calendar not only as an opportunity to celebrate the islands but also the position of the holiday at the end of May is used to signify the arrival of summer when it is warm enough to consider swimming in the ocean after winter and for the famous Bermuda shorts to be worn as business attire instead of trousers. 

This style of shorts was used by the British Army in tropical regions. After the Second World War, there was a shortage of cloth in Bermuda, so to ensure their staff could be dressed properly, the owners of two banks arranged for a local tailor to make pairs of shorts, modeled on those used by the British military.

This public holiday began in 1902 as Empire Day, a day that was decreed across the British Empire to commemorate the death of Queen Victoria on May 24th, her birth date. Canada still observes this as Victoria Day and Belize observes it as Sovereign Day. 

Due to the number of countries who gained independence from Britain, the holiday was renamed Commonwealth Day in 1958. 

The holiday was first named as Bermuda Day in 1979. and until 2018, it was celebrated on May 24th or the following Monday if May 24th fell on a weekend. The change means that Bermuda Day will always create a long weekend, called Bermuda Day Weekend, which will be an opportunity to showcase Bermuda’s culture and heritage to locals and visitors. Bermuda Day always takes place in Heritage Month.

To mark the day, a Bermuda Day Parade has been held in Hamilton every year since 1979. There are also sporting events such as the Bermuda Day Half Marathon and a cricket match between the two parts of the island.